ぶどうの栽培記録@2018年

 2018年のぶどう(シャインマスカット
 と、クイーンニーナ)の栽培記録です。


2018.1.20
 シャインマスカットとクイーンニーナを剪定
 した。
 短梢剪定で、1芽、もしくは、2芽を残した。

2018.2.26
 クイーンニーナは、結果母枝を2mほど
 伸ばした。そこで、芽傷を入れた。

 シャインマスカットは、1芽、ないしは、2芽
 剪定なので芽傷は必要ないかもしれないが、
 基底芽と1芽のところに、芽傷をつけた。

 メリット青の原液を、ブラシを使って結果母枝
 に塗布した。


  (クイーンニーナ 芽傷入れ '18.2.26)

2018.3.25
 シャインマスカット、クイーンニーナの芽が
 少し膨らんできた。

 そろそろ、ビニールをかけるか、、


   (シャインマスカットの芽 '18.3.25)


   (クイーンニーナの芽 '18.3.25)

2018.3.30
 ハウスにビニールをかけた。
 殺菌剤を散布した。今にも、萌芽しそう…


  (シャインマスカットの芽 '18.3.30)


   (クイーンニーナの芽 '18.3.30)

2018.4.7
 シャインマスカットも、クイーンニーナも、
 葉がすでに2枚、展葉している。


 (シャインマスカットの新葉 '18.4.7)


 (クイーンニーナの新葉 '18.4.7)

2018.4.14
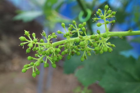
 シャインマスカットとクイーンニーナの花芽が
 はっきりしてきた。
 花芽は、3枚目か4枚目の葉にできる。


 (シャインマスカットの花芽 '18.4.14)


 (クイーンニーナの花芽 '18.4.14)

 先端の葉に黒い粉がついていた。
 イモムシ?の糞だと思う… 葉に小さな穴が
 空いている。イモムシ?に、食べられた痕か
 も、

 以前、先端の芽が食われ、生長が止まって
 しまったことがあった。

 #シャインマスカットの1枚めの右側の葉の
  先端にも黒いものが見える。


  (イモムシにやられた? '18.4.14)

2018.4.20
 シャインマスカット、クイーンニーナが、
 イモムシにやられた。

 クイーンニーナは、花穂が萎れていた。
 花穂の茎が赤紫色に変色し、穴が
 空いていた。
 茎の中を調べてみると、イモムシが
 いた。


 (クイーンニーナ 萎れた花穂 '18.4.20)

 シャインマスカットの芽も、やられた。

 茎を切ってみると、中にイモムシがいた。
 体長は、2~3mm程度。
 模様から、クイーンニーナと同じ種類の
 イモムシと思える。


   (シャインマスカットの新芽 '18.4.20)


    (茎の中いイモムシがいた '18.4.20)

 これは、ブドウスカシバなのだろうか?
 ブドウスカシバは、5月~6月頃に発生すると
 いう。
 ブドウスカシバに比べて発生時時期が早い感じ
 がする。

 シンクイムシで、該当するものがないかを
 調べてみたが、わからなかった。

 こいつは、何者なのだろうか?

      イモムシの拡大写真

 (ブドウスカシバ? 何者? '18.4.20)

2018.4.21
 シャインマスカット、クイーンニーナの新梢
 は、生長が早いもので、40㎝程度伸び
 ている。


  (シャインマスカットの花穂 ’18.4.21)


    (クイーンニーナの花穂 ’18.4.21)

2018.4.28
 花穂がだいぶ大きくなった。
 新梢も長くなったので、誘引を行う。

 シャインマスカットは、混み合っている箇所
 の枝を間引く。
 新梢の数を、60本ぐらいにしようと思う。

 クイーンニーナは、枝間を20cm程度になる
 ように、誘引してみる。


  (シャインマスカットの花穂 ’18.4.28)


   (クイーンニーナの花穂 ’18.4.28)

2018.5.6
・新梢の誘引
 5/1日に、新梢を誘引した。混み合っている
 ところは、枝を間引いた。
 しかし、まだ、新梢が70本ぐらいある。
 房数が確定する摘粒の時期に、新梢を整理
 してみようと思う。

・摘心
 花穂の先で、葉が6枚でたら摘心をしている。
 まだ、6枚に達していない枝も多い。

・花穂整形(房づくり)
 例年よりだいぶ早いが、花穂が大きくなり、
 開花しているのも見られたことから、
 房づくりを開始した。
 (小さな花穂は、様子をみて開始する。)

 シャインマスカットは、4cm、
 クイーンニーナは、3.5cmにし、
 上側に、2つマーカーを残した。

 マーカは、アグレプトやジベレリン処理を
 終えたかの目印に使う。


   (シャインマスカットの花穂 ’18.5.6)


 (シャインマスカットの房づくり ’18.5.6)

2018.5.12
・無核化処理(アグレプト液剤)
 シャインマスカット、クイーンニーナの全ての
 花穂に、アグレプト液剤(1000倍)を浸漬した。

 アグレプト液剤の処理後に、マーカ1つを
 切除した。


 (シャインマスカット アグレプト ’18.5.12)


 (クイーンニーナ アグレプト処理 ’18.5.12)

2018.5.15
・無核化処理+着粒安定(ジベレリン1回目)

 クイーンニーナ
  花穂の先端まで、花が咲いたので、
  ジベレリン処理(1回目)をした。
  ジベレリン25ppm+フルメット5ppm

  1回目のジベレリン処理が終わったことが
  わかるように、茎に茶色の結束紐を結いた。


 (クイーンニーナ '18.5.14)
 (キャップがついている。もうすぐ咲きそう)


(クイーンニーナ ジベレリン処理 '18.5.15)

2018.5.16
・無核化処理+着粒安定(ジベレリン1回目)

 シャインマスカット
  花穂の先端まで、花が咲いたので、
  ジベレリン処理(1回目)をした。
  ジベレリン25ppm+フルメット2ppm

  1回目のジベレリン処理が終わったことが
  わかるように、茎に緑色のリングをかけた。

  #タイミングは、大丈夫だと思うのだが、
   花ぶるいが心配…。


   (シャインマスカット)
   (先端側は、咲いていない。 '18.5.14)


  (シャインマスカット)
  (先端側は、まだ、、  '18.5.15)


   (シャインマスカット)
   (全ての花が開いた。 '18.5.16)


   (シャインマスカット)
   (ジベレリン処理後 '18.5.16)

2018.5.19
 ジベレリン処理をしてから3~4日たった。
 花ぶるいは、ほとんど発生していない。
 大丈夫そうだ。

 満開日よりも、少し早めに処理した房もある。
 小粒果(ショットベリー)の発生が気になる。
 来週には、結果がわかるかと思う。

 #クイーンニーナの先端は、二股にわかれて
  いる。
  本来ならば房づくりのときに、片方だけに
  整形しておくべきだが、、まあ、いいか


     (シャインマスカット '18.5.19)


    (クイーンニーナ '18.5.19)

2018.5.26
 右側のJ字のような房が、いままで観察
 していたシャインマスカット。
 房が、徐々に下向きになった。

 2回目のジベレリン処理は、満開から
 10~15日後。そろそろ実施する。


    (シャインマスカット '18.5.26)

 クイーンニーナは、房が下向きになった。
 小粒果が、混じっているものの、全体としては
 大丈夫そう‥。


    (クイーンニーナ '18.5.26)

 クイーンニーナの複梢に、花穂ができていた。


 (クイーンニーナ 複梢に花穂 '18.5.26)

2018.6.2
 シャインマスカット、クイーンニーナともに
 5/29日に、ジベレリン処理(2回目)
 を行った。
   # 2回目:ジベレリン 25ppm

 写真は、6/2日のシャインマスカットと
 クイーンニーナ。

 今後は、シャインマスカットは、40粒
 程度にクイーンニーナは、30粒程度
 に摘粒する。

 また、棚下が、だいぶ暗くなっている。
 結果枝を間引き、複梢の整理も行う。


    (シャインマスカット '18.6.2)


     (クイーンニーナ '18.6.2)

2018.6.6
 この一週間は、忙しかった。
 なんとか、新梢の整理、摘房、摘粒、袋がけ
 まで終えることができた。

 これでぶどう栽培も一段落、、、
 あとは、新梢の管理…。

 ・新梢の整理 :6/2-6/3日
  着粒が、確定するまでは花ぶるいが
  心配だったので、結果枝は切らなかった。

  棚下が暗く、風通しも悪そうだったので、
  間隔が狭いところの結果枝を切った。

  複梢が伸びてしまったところは、複梢の
  葉を1枚か2枚にした。
  また、徒長枝を詰めた。

  棚下が明るくなった。

 
      (新梢整理、摘粒後 '18.6.4)

 ・摘房:6/3-6/6日
  粒が少ない房、結果枝が貧弱なもの、
  ジベレリン処理の時期が遅かったもの、
  結果枝に2房なっているものから1房
  を、優先して落とした。

  房数は、結果枝数の5~6割にした。

 ・摘粒:6/3-6/4日
  シャインマスカットは、40~48粒程度に、
  クイーンニーナは、30~38粒程度に
  摘粒をした。
  
  両方共、房作りが少し大きかった。
  40粒、30粒が目標だったのだが、
  大きめの房が、多くなってしまった。


   (シャインマスカット摘粒前 '18.6.3)


   (シャインマスカット摘粒後 '18.6.3)

  クイーンニーナは、先端が二つに分かれて
  いた。一方を切り落とした。


   (クイーンニーナ摘粒前 '18.6.4)


    (クイーンニーナ摘粒後 '18.6.4)

 ・袋がけ:6/5ー6/6日
  袋がけをした。
  シャインマスカットは、緑色の袋。
  クイーンニーナは、白色の袋。

  シャインマスカットの 果皮の色が、
  遮光率が高い青色や緑色を使った方が、
  緑色気味に仕上がること。

  また、かすり症が発生する頻度が、緑色
  の方が少ないというレポートから、緑色の
  ブドウ袋を選択。

  クイーンニーナ(赤や黒ぶどう)は、白色。


    (シャインマスカットの袋がけ '18.6.6)


   (クイーンニーナの袋がけ '18.6.5)

2018.6.17
 伸びた複梢を切り、棚下が暗くならないように
 新梢の管理をしている。

 8月上旬から、糖度を測定してみる。

2018.6.23
 棚下は、それほど暗くないように思える。
 クイーンニーナの袋は、紙にフィルムが
 張ってあり、中が見えるようになっている。


     (クイーンニーナ '18.6.23)

2018.7.1
 複梢など伸びた枝は、1週間ごとに切り取って
 いる。棚下は、いい感じ。
 昨年までは、梅雨明け後は、週に2度の潅水
 していたが、今年は週に1度にしてみようかと
 思う。


     (シャインマスカット '18.7.1)

 粒が焼けないように、直接、陽があたる房は、
 新聞紙でカバーをした。


    (新聞紙での日除け '18.7.1)

2018.7.7
 結果枝の色が、緑色から黄色っぽく変化
 してきた。登熟が始まったようだ。


      (登熟が始まった '18.7.7)

 クイーンニーナの葉に黒いシミのようなものが
 できている。
 雨除けはしているが、横から雨が吹き込んで
 しまう。

 あやしい葉は、4~5枚ほどで、全て切り
 取った。

 これは、褐斑病なのだろうか?
 写真は、葉の表面と太陽光線で透かしたもの。
 褐色の点がみられる。


   (クイーンニーナ 褐斑病? '18.7.7)


   (クイーンニーナ 褐斑病? '18.7.7)

2018.7.16
 結果枝の色が、褐色に変化した。

 細い枝は、登熟が遅く緑色のものが多い。

 太い枝で登熟が遅れているのは、複梢が
 伸び続けていることがあった。
 このようなときは、複梢を摘芯する。


   (シャインマスカット 結果枝 '18.7.16)

 また、褐斑病らしい葉をとった。
 (だぶん、サビダニでは無いと思うが、、、)
 これは、シャインマスカットよりクイーン
 ニーナに多い。
 結果枝の根元付近の葉に多い感じが
 する。この特徴からも褐斑病かもしれない。

 一番下の色が抜けた葉は、シャイン。
 それ以外は、クイーンニーナの葉。


      (褐斑病? '18.7.16)

2018.7.21
 スリップス(チャノキイロアザミウマ)に
 やられた。
 
 クイーンニーナのぶどう袋は、透明のフィルム
 が一部はってあり、中が見える。

 スリップスに齧られたあとがあったので、袋を
 確認したところ、口が少し開いていた。

 そこから入られたのかもしれない?
 (もしくは、袋がけの前にいた???)

 袋を新しいのに取り替え、しっかり留めた。
 果軸を、指で弾いてスリップスを落とすような
 ことをしてみたが、効果はないかもしれない。


      (クイーンニーナ '18.7.21)


 (チャノキイロアザミウマの食害 '18.7.21)

 この房の摘粒後の様子。
 6月5日に、袋がけをした。


   (クイーンニーナ 袋がけ前 '18.6.5)

2018.7.29
 ほとんどの結果枝が、登熟したが、
 まだ、緑色の結果枝も少しある。
 (7月中に、登熟するのが良いのだが、、、)

 緑色の枝は、細いものが多い。登熟しないと
 冬の間に枯れてしまうので、先端側を強めに
 とめた。


(シャインマスカット 結果枝 '18.7.29)

 シャインマスカットで、
 日焼けか、病気かわからないけど、葉の一部が
 枯れていたので、切り取った。
 ビニールに近いところでは無いので、日焼け
 とも思えない…
 これは、なんらかの病気なのだろうか?

 なお、潅水は、土の表面の乾き具合で判断
 している。
 今の猛暑の時期では、4日~5日ぐらいで
 潅水をしている。


   (シャインマスカットの葉 '18.7.29)


  (シャインマスカットの葉 '18.7.29)

2018.8.4
 シャインマスカットとクイーンニーナの房の
 状況です。

 シャインマスカットは、スリップスの食害は
 大丈夫そう。
 クイーンニーナは、これも少し傷がある。


    (シャインマスカット No8 '18.8.4)


    (クイーンニーナ No11 '18.8.4)

 シャインマスカットとクイーンニーナの糖度を
 確認した。

 糖度を確認する房を決めて、果粒を、
 房の下側から抜き取って確認する。

 シャインマスカット:12.7brix%
 クイーンニーナ  :17.1brix%

 2017年に比べて、糖度がだいぶ高い。。

2018.8.11
 クイーンニーナが色づくようにアルミシート板
 を、ブドウ棚の下に敷いた。
 棚下が、だいぶ明るくなった。

 クイーンニーナが色づくためには、光が
 必要らしい。もう少し気温が下がったら
 房の周りの葉も切り取る。


       (クイーンニーナ  '18.8.11)

 ・糖度の推移
  -シャインマスカット
   No32: 9.0Brix%
   粒が硬い、ベレーゾーンに入っていない?
   なので、もう1粒確認した。
   No32:12.9Brix%

   バラツキが大きそうなので、先端側の房
 (No1)でも糖度を確認。
   No1:13.3Brix%

 -クイーンニーナ
   No11 :19.0Brix%


  (シャインマスカット No1 '18.8.11)

2018.8.18
・クイーンニーナ
 糖度が、21Brix%に達した。
 けど、まだ色づかない。

 アルミシート板を、ハウスの外側にも
 敷いてみた。房の周りの葉も、切り取った。


     (クイーンニーナ  '18.8.18)


    (クイーンニーナ No11 '18.8.18)

  色づいてきた房もあるが、、、、
  これも、まだまだ…。


    (クイーンニーナ No3 '18.8.18)

・シャインマスカット
 結果枝の根元付近の葉が、黄色くなって
 いる。
 緑色が抜けてまだら模様になっているものも
 ある。
 これは、何が原因なのだろうか、

 昨年は、ブドウサビダニにやられたが、
 今年はそうでは無いみたいだ。
 葉にススのようなものは、ついていない。


    (シャインマスカット '18.8.18)


    (シャインマスカット '18.8.18)

・糖度の推移
  -シャインマスカット
   No32: 13.4Brix%
   No1: 14.3Brix%

 -クイーンニーナ
   No11: 21.1Brix%

2018.8.25
・クイーンニーナ
 褐斑病にかかっているようだ。
 葉が、褐色になっている。
 シャインマスカットでは、このような
 症状はでていない。

 あまりに酷い葉は、取り除いたが、
 このまま様子をみるしかないか、

 褐斑病は、雨除けをしているのに、
 罹ってしまうのだろうか、
 来年は、なんとかしたい…


  (クイーンニーナ 褐斑病? '18.8.25)


  (クイーンニーナ 褐斑病? '18.8.25)

 クイーンニーナは、まだ色づかない。
 房を、大きくしすぎたからかもしれない。
 (38粒ぐらいか?)

 袋をとった。
 これで、色づいてくれるといいんだが、

 #直射日光が、あたる場所もあるが、
  このままで、粒は焼けないのだろうか、


   (クイーンニーナ 除袋  '18.8.25)

・シャインマスカット
 糖度が、18度に達したので、収穫をした。
 (No20の房)

 昨年より、3週間ほど早い。
 重さは、568gだった。


 (シャインマスカット 収穫 '18.8.25)


 (シャインマスカット 収穫 '18.8.25)

・糖度の推移

  -シャインマスカット
   No32: 12.7Brix%(10.7Brix%)
   No1: 16.9Brix%(15.5Brix%)

   No32の房は、バラツキが多い。
   房のできもよくないので、他の房
  (No12)でも、糖度を確認する
   ことにする。

  No12: 16.7Brix%(15.6Brix%)
  No20: 18.2Brix%(16.1Brix%)

 -クイーンニーナ
   No11: 21.3Brix%(18.9Brix%)

    *( )は、果粒の上側の糖度、
      下側の方が糖度は、高い。

2018.9.1
・クイーンニーナ
 だんだん、色づいてきた。
 直射日光があたる房も、粒は焼けず、
 大丈夫なようだ。


     (クイーンニーナ '18.9.1)

 こちらは、だいぶ良い色になった。
 (房は、少し小さい。)


     (クイーンニーナ '18.9.1)

・シャインマスカット
 先週、収穫したが、まだ少し早すぎたようだ。
 収穫は、もう少し待とうと思う。

・糖度の推移

 -シャインマスカット
  シャインマスカットのNo32は、糖度がぜん
 ぜんあがらない。理由がわからない。
 結果枝や隣の房の糖度を確認してみるか?

   No1: 17.9Brix%(16.6Brix%)
  No12: 18.1Brix%(17.2Brix%)
  No32: 12.5Brix%(11.0Brix%)

 -クイーンニーナ
  クイーンニーナの糖度は、サチっている…。

   No11: 21.7Brix%(19.9Brix%)
       *果粒の下側(果粒の上側)

2018.9.8
・クイーンニーナ
 収穫をした。糖度は、22.5Brix%(19.5Brix%)
 、重さは、450gであった。

 クイーンニーナが、きれいに色づいた!


     (クイーンニーナ No3 '18.9.8)


      (クイーンニーナ No3  '18.9.8)

・糖度の推移

 -シャインマスカット
  シャインマスカットのNo32は、房先の葉が
 8枚で摘芯していた。
 東側の結果枝は、西側に比べると短い。
 また、葉が重なり、日があたりにくいのかも
 しれない。

   No1: 17.9Brix%(16.7Brix%)
  No12: 18.0Brix%(17.4Brix%)
  No32: 14.1Brix%(12.9Brix%)

 -クイーンニーナ
   No11: 22.0Brix%(19.3Brix%)
       *果粒の下側(果粒の上側)

2018.9.15
・シャインマスカット
 房ごとの糖度のバラツキが、大きい。
 また、ここのところ、糖度の上昇が停滞して
 いた感じがする。

1.糖度上昇の停滞
 毎週、新梢をつまんでいたが、ここ2週間
 程度、切らなかったら新梢が沢山生え、大きく
 伸びてしまった。

 この期間は、糖度があまり上がらなかった
 ように感じる。葉の生長が優先されたのかも
 しれない。

 #以前、葉を枯らしたあと、新葉が沢山
  生えた。そのときは、糖度が下がってしまっ
  た。

(参考:5.1.9  ★栽培記録の詳細
 
 現在は、樹勢が落ちつくことを考え、先端部分
 だけを摘む弱い摘芯をしている。

・糖度の推移
 糖度は、果粒の上側でも18度を超えてきた。
 ようやく収穫ができる。

 -シャインマスカット
   No1: 20.3Brix%(19.6Brix%)
  No12: 18.4Brix%(17.9Brix%)
  No32: 17.0Brix%(15.2rix%)

 -クイーンニーナ
   No11: 22.6Brix%(21.3Brix%)
       *果粒の下側(果粒の上側)

2018.9.16
・クイーンニーナ
 大きな房も、少しずつ色づいてきた。
 同じ房を、光があたる方向からと、裏側から
 撮してみた。


   (クイーンニーナ '18.9.16)


   (クイーンニーナ '18.9.16)

2018.9.22
 ・シャインマスカット
 今週は、10数房を収穫した。
 糖度は、平均20.4Brix%、
 重さは、平均600gであった。


     (シャインマスカット '18.9.22)

・クイーンニーナ
 それほど、色づきは変わらないか?


     (クイーンニーナ '18.9.22)

・糖度の推移

 -シャインマスカット
   No1: 20.6Brix%(19.7Brix%)
  No12: 20.7Brix%(20.0Brix%)
  No32: 14.7Brix%(14.1rix%)??

   No32は、安定しない。

 -クイーンニーナ
   No11: 21.7Brix%(20.9Brix%)
       *果粒の下側(果粒の上側)

2018.10 .7
 台風の襲来前に、ビニールを外しておいた。
 葉はだいぶ傷んだが、ハウスやぶどうは
 無事だった。ほっ、

 クイーンニーナは、だいぶ良い色になった。
 太陽光があたっているために、それほど
 赤くは見えないが、実際の色はもっと赤い。


     (クイーンニーナ '18.10.7)


 ★ '18年の栽培記録はこれで終了とします

   栽培記録のpdf版は、今期の総括を、
   少し書いてみようかと思います。


 '18年糖度の推移
  (シャインマスカット、クイーンニーナ)



    ★グラフは、果粒の下側の糖度


  (シャインマスカット糖度推移@2018年)


   (クイーンニーナ糖度推移@2018年)



戻り

Copyright (c) 2010-2020 元エンジニアによる「趣味の果樹栽培」 All Rights Reserved